Фотолечение Stellar M22 IPL в Хабаровске
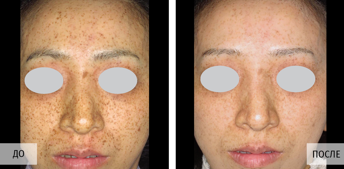
Если в зеркале всё чаще видно не «возраст», а усталость кожи — тусклый тон, пятна после солнца, сосудистая сетка/покраснение, следы постакне, расширенные поры — IPL-фотолечение на Stellar M22 помогает собрать лицо «в один ровный кадр». Протокол подбирает врач-косметолог на очной консультации.
В клинике «Нефертити» (Хабаровск, Северный микрорайон) мы работаем и на M22, и на Stellar M22: Stellar — это эволюция привычной платформы, когда важны точная настройка, предсказуемость и комфорт. Результаты индивидуальны. Есть противопоказания — обсудим на консультации.
Что такое IPL-фотолечение на Stellar M22 — простыми словами
IPL — это технология импульсного света. У кожи есть «мишени», которые хорошо поглощают свет: меланин (пигмент) и гемоглобин (сосудистый компонент). Когда врач настраивает протокол под вашу задачу, световая энергия становится точечной работой по пятнам и красноте/сеточке, а лицо в целом выглядит более ровным и свежим.
Важно: фотоомоложение/фотолечение — это не «стереть всё за один раз». Логика — безопасное накопление: шаг за шагом выравниваем тон, уменьшаем визуальную «пестроту», улучшаем текстуру и возвращаем коже ухоженный вид.
- Пигмент + сосуды + общий тон — одна технология, разные сценарии под вашу кожу.
- Лицо / шея / декольте / кисти рук — работает там, где особенно заметны пятна и покраснение.
- Индивидуальные параметры — фототип, сезонность, реактивность кожи учитываются обязательно.
- Без операции и, как правило, без длительной реабилитации — при корректном протоколе.
Кому особенно «отзывается» IPL: самые частые запросы
- Тусклый цвет лица и ощущение, что кожа выглядит «серой» даже при хорошем уходе.
- Пигментные пятна после солнца, веснушки, «карта» пятен на скулах.
- Сосудистая сетка / покраснение / купероз (по показаниям) — неровный «красный» тон.
- Постакне: застойные пятна, «пятнистость» после воспалений, визуально расширенные поры.
- Фотостарение: мелкие морщинки, более грубая текстура, снижение сияния.
Показания и противопоказания — структурно, списками по интентам
Здесь — логика «как вы ищете в Яндексе/Google». На консультации врач уточняет тип пятен/красноты, фототип, сезонность и подбирает протокол.
Показания (по вашим запросам)
- «Убрать пигментацию / пятна после солнца / веснушки стали ярче»
Неровный тон, фотопигментация, «карта» пятен. Возможна ожидаемая динамика «потемнение → осветление». - «Убрать сосудистую сетку / покраснение / купероз на лице»
Сосудистые проявления и краснота (по показаниям). Итог зависит от глубины и типа сосудов — часто нужна курсовая работа. - «Постакне: пятна после прыщей / лицо пятнами»
Застойные следы постакне, неоднородность оттенка, визуальная «пестрота». - «Тусклая кожа / нет сияния / хочу ровнее тон»
Когда уход есть, но «собранности» и свежести всё равно не хватает — работаем на выравнивание и чистоту тона. - «Поры / неровная текстура»
В рамках общей задачи по качеству кожи и тону — по показаниям и плану.
Противопоказания (когда нельзя)
- Беременность и лактация — процедуру обычно переносят на более подходящий период.
- Активные инфекции/воспаление в зоне воздействия (в т.ч. выраженные обострения кожных процессов).
- Состояния с выраженной патологической реакцией на свет — по анамнезу/диагнозу.
Когда нужна осторожность (это не «запрет», а настройка/перенос)
- Свежий загар / солярий / активное солнце — повышает риск нежелательных реакций, особенно по пигменту.
- Склонность к гиперпигментации — протокол и фотозащита подбираются особенно внимательно.
- Очень реактивная/чувствительная кожа — выбираем щадящую тактику и поддерживаем барьер.
- Приём препаратов, повышающих чувствительность к свету — важно сообщить врачу заранее (решение индивидуально).
- Недавние агрессивные процедуры (пилинги, ретиноиды и т.п.) — часто нужна пауза и оценка кожи.
Если сомневаетесь, «можно ли вам» — это нормальный вопрос. Для этого и нужна консультация: оценим кожу, сезонность и риски, чтобы динамика была предсказуемой.
Stellar M22 — эволюция любимого M22, а не «замена»
В «Нефертити» в Хабаровске мы работаем и на M22, и на Stellar M22. M22 — проверенная платформа, которую многие знают по фотоомоложению и фотолечению. Stellar M22 — следующее поколение: та же философия безопасности и предсказуемости, но больше возможностей точной настройки и удобнее работа по большим зонам.
- Точнее под задачу: больше сценариев для разных типов пятен и покраснения.
- Удобнее по зонам: особенно когда речь про декольте/руки и большие участки (по показаниям).
- Комфортнее при корректном протоколе: ощущения зависят от настройки и реакции кожи.
Мы не «воюем» технологиями. Выбор зависит от вашей задачи, зоны, фототипа и сезонности: иногда логичнее M22, иногда — Stellar, а иногда — курс с разной логикой по этапам.
Какие проблемы решает фотолечение Stellar M22 IPL
- Пигментация: пятна после солнца, веснушки, неравномерный тон.
- Сосудистые проявления: сосудистая сетка, покраснение, купероз (по показаниям).
- Постакне: застойные пятна, пятнистость после воспалений, визуально расширенные поры.
- Фотостарение: мелкие морщинки, более грубая текстура, снижение сияния.
- Зоны: лицо, шея, декольте, кисти рук, локальные участки тела (по показаниям).
Как проходит процедура в клинике «Нефертити» на Даниловского, 20
По шагам
- 1) Консультация: фиксируем ведущую проблему (пятна / сосуды / постакне / тон), оцениваем фототип и сезонность.
- 2) Подготовка: очищение, при необходимости — контактный гель, защита чувствительных зон.
- 3) IPL-обработка: серия вспышек по зонам. Ощущения чаще как короткое тепло/лёгкое покалывание.
- 4) Финиш: успокаивающий уход и понятные рекомендации «что можно/нельзя» в первые дни.
Что вы можете заметить после
| Срок | Что обычно видят | Нормальные реакции |
|---|---|---|
| В день процедуры | Эффект свежести, «собранность» кожи | Покраснение, ощущение тепла (обычно кратковременно) |
| 1–7 дней | Тон ровнее, «пестрота» меньше | Пигмент может временно темнеть и затем светлеет |
| Курс (часто 3–5 процедур) | Более стабильный результат по тону/текстуре/сиянию | Интервалы и количество — индивидуально |
План курса фиксируем после осмотра. Мы ориентируемся на вашу задачу, сезон и то, как кожа реагирует на первый этап.
Рекомендации после IPL: без перегруза, по делу
После процедуры
- SPF ежедневно — это прям «обязательная часть результата», особенно если цель — пигментация.
- Первые дни — без агрессивных пилингов, скрабов, перегрева и разогревающих процедур.
- Если цель — пятна, отдельно проговариваем, как не «подкармливать» пигмент солнцем и неправильным домашним уходом.
- Уход подбираем так, чтобы кожа не уходила в сухость и реактивность.
Универсального «одного крема всем» тут нет: кожа разная, и именно мелочи в уходе часто решают, насколько ровным будет итог.
FAQ — коротко и честно
Stellar M22 лучше M22?
Корректнее так: Stellar M22 — новое поколение M22. В клинике «Нефертити» есть обе платформы, и мы не «воюем» технологиями. Выбор зависит от вашей задачи, зоны, фототипа и сезонности: иногда логичен M22, иногда — Stellar, а иногда — курс по этапам.
Можно ли сделать «одну процедуру и забыть»?
Для лёгкой тусклости и небольшого неравномерного тона иногда хватает 1–2 процедур. Если есть выраженная пигментация, сосудистая сетка/краснота или постакне — обычно нужен курс. Мы планируем его так, чтобы вы видели динамику по этапам.
Больно ли это?
У большинства ощущения терпимые: короткое тепло/покалывание во время вспышек. Комфорт зависит от зоны, чувствительности кожи и корректного протокола.
Когда лучше делать IPL в Хабаровске — зимой или можно круглый год?
Часто удобнее в сезон низкой инсоляции, особенно при работе с пигментацией. Но решение зависит от образа жизни и схемы защиты: главное — дисциплина со SPF и отсутствие активного загара «до/после».
Какие противопоказания и когда процедуру лучше перенести?
IPL не проводят при активном воспалении/инфекции в зоне воздействия. Осторожность нужна при свежем загаре, склонности к гиперпигментации, высокой чувствительности и приёме препаратов, повышающих чувствительность к свету — тактику определяет врач.
Запишем вас и соберём план под вашу кожу
Почему пациенты выбирают «Нефертити»
- Индивидуальный протокол: не «один режим для всех», а настройка под задачу, фототип и сезон.
- Контроль динамики: план курса и понятные критерии результата «по шагам».
- Комплексный подход: при необходимости подбираем домашний уход, чтобы результат держался.
- M22 и Stellar M22: у врача есть выбор платформы и логики в рамках курса.
Имеются противопоказания. Нужна консультация специалиста. Результаты индивидуальны.
Врачи-косметологи клиники «Нефертити»
- Денисова Ксения Владимировна — врач-косметолог, 20+ лет практики.
- Дмитриева Лилия Александровна — врач-косметолог, стаж 20 лет.
- Пензина Екатерина Александровна — врач-косметолог, стаж 11 лет.
- Плаксина Анна Игоревна — врач-косметолог, стаж 11 лет.
- Кравцова Валентина Владимировна — врач-косметолог, дерматолог.
Связанные услуги
- Фотолечение пигментации (M22) — добавьте вашу актуальную ссылку на страницу услуги.
Источники (для прозрачности)
- Платформа Stellar M22 (страница производителя): lumenis.com
- Обзорные данные по IPL-фототерапии (научная база): PubMed
